大通り沿いは高層ビルが多く、住宅地は低層住居が多いイメージがあると思います。
大通り沿いは指定容積率が高く、住宅地は指定容積率が低く設定されているからというのも理由の一つですが、他にも理由があります。
それは、前面道路が狭い場合、建築基準法による制限があるからです。
都市計画により、指定容積率が定められていますが、前面道路幅員が12m未満の場合、その幅員により、容積率上限が制限されることがあります。
前面道路幅員に「容積率低減係数」をかけた数値が、指定容積率よりも低い場合、その数値が容積率の上限となります。
(※)住居系の用途地域
第一種および第二種低層住居専用地域、第一種および第二種中高層住居専用地域、第一種および第二種住居地域、準住居地域
(※)住居系で0.6、それ以外の地域で0.8など、例外もあります
たとえば、住居系の用途地域で、指定容積率300%、前面道路幅員が6mの場合は、以下のような計算となります。
指定容積率300%であっても、容積率は240%に制限されてしまいます。
前面道路幅員が4m未満の場合、前面道路幅員は4mで計算します。
建築基準法上、道路幅員は4m必要であり、4mより狭い道路は、4mになるように道路境界線を敷地側に後退(セットバック)させる必要があります。
「道路幅員は4mであるが、その一部がまだ道路状に整備されていない」というような考え方を取るため、道路幅員は3mであったとしても、4mで計算します。
× 3.6m×0.4×100%=144%
○ 4.0m×0.4×100%=160%
角地等で二つの道路に接している場合は、広い方の幅員で計算します。

× 4.0m×0.4×100%=160%
○ 6.0m×0.4×100%=240%
指定容積率を超えてしまう場合は、指定容積率が限度となります。(どちらか低い方の数値が採用されます)

× 6.0m×0.4×100%=240%
○ (指定容積率)200%
計算方法はわかりましたが、どれでは計算で使用する道路幅員はどうやって調べれば良いでしょうか。
たまに住宅地図にものさしをあてて計算する人がいますが、アバウトな数値になってしまうので、おすすめ出来ません。
道路幅員についても、容積率同様に、役所で調べることができます。
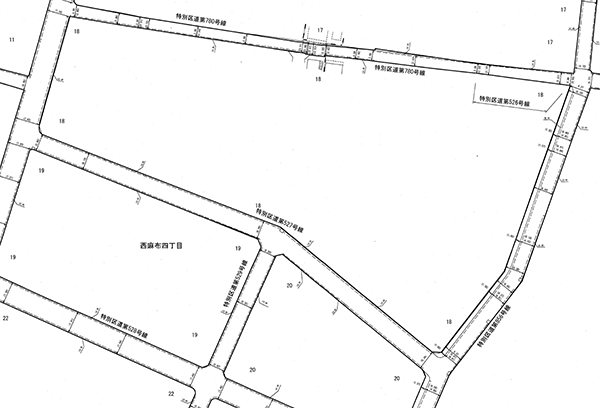
物件所在地を管轄する役所の道路課で、下のような図面(道路台帳現況平面図)を取得することが出来ます。(10~100円くらい)

また、この図面も最近ではインターネット上で閲覧出来る場合が多くなっています。
たとえば、港区の場合は、こちらから閲覧できます。
港区公式ホームページ/『道路台帳平面図』のWeb閲覧について
こちらに記載された道路幅をもとに、容積率が制限されるかどうかをチェックするのです。
以上、前面道路幅員による容積率制限について説明させて頂きました。
前面道路が狭い物件の場合は、この計算を忘れないように注意しましょう。
